No. 31€ 5.000,-
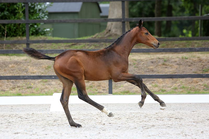
| Geschlecht | Hengst |
| Farbe | Bay |
| Geburtsdatum | 20-apr-22 |
| Züchter | Sj. de Groot |
| Zuchtrichtung | Springen |
| Abstammung | New Pleasure VDL x Jenssen VDL |
Sverre
|
1. Generation: Nellaminka 2. Generation: Willeminka Mutter von: Doutzenminka (s. Zapatero VDL) 1,30m Spr.
Elleminka (s. Zapatero VDL) 1,30m Spr. 3. Generation: Pheminka 1,35 Spr. Mutter von: Vitess fan Great Beckum (s. Pacific) 1,40m Spr. - Manuel Bancalati (DOM)
Willeminka (s. Cantos) 1,35m Spr.
Didgeredoo (s. Zavall VDL) 1,30 Spr.
Kilimanjaro (s. Quasimodo vd Molendreef) 1,30 Spr.
Zusätzliche Sportdaten Dammlinie: Leminka II (s. Goodtimes) 1,35 Spr.
Neminka (s. Goodtimes) 1,30 Spr.
Raminka (s. Indoctro) 1,35 Spr.
Celleminka-H (s. Oklund) 1,30 Spr.
Con Sang F.H. (s. Quidam de Revel) 1,30 Spr. - Dar'ya Butkevych (UKR)
Desiran (s. Indoctro) 1,45 - Beat Röthlisberger (SUI)
Minka's Diamond (s. Indoctro) 1,60 Spr. - Emiel Tacken (NED)
Rhett (s. Marlon) 1,45 Spr. - Ben Talbot (GBR)
Valerieminka (s. Indoctro) 1,30 Spr.
Ziizero (s. Ovidius) 1,30 Spr.
Diamond of Minka (s. Ustinov) 1,45 Spr.
Enjoy Blue Diamond (s. Mr. Blue) 1,30 Spr - Klaudia Siarkiewicz (POL)
Feminka (s. Andiamo) 1,60 Spr. - Stefan Eder (AUT)
Freiminka's Blue Diamond (s. Mr. Blue) 1,35 Spr. - Teddy van de Rijt (NED)
Freininko F.H. (s. Gaillard de la Pomme) 1,30 Spr. Felix Schneider (GER)
Gentleman (s. Vigo d'Arsouilles) 1,45 Spr. Nicolo' Russello (ITA)
Nicht umsatzsteuerpflichtig |
Online biedenop Sverre |
Stammbaum
| New Pleasure VDL BWP |
For Pleasure |
Furioso II |
Furioso XX |
| Dame De Ranville |
|||
| Gigantin |
Grannus |
||
| Goldi |
|||
| Lady-a Ter Putte BWP |
Diamant De Semilly BWP |
Le Tot De Semilly |
|
| Venise Des Cresles |
|||
| Ukase Ter Putte BWP |
Darco |
||
| Quinette Ter Putte |
|||
| Nellaminka ster |
Jenssen VDL BWP |
Harley VDL pref |
Heartbreaker |
| Larthago |
|||
| Zirsinaa Vd Leeuwerk Z |
Zirocco Blue VDL |
||
| Persinaa |
|||
| Willeminka keur pref prest sport |
Cantos pref prest sport |
Contender |
|
| Gabanta |
|||
| Pheminka pref prest prok ster |
Indoctro |
||
| Seminka |


Online bieden









