No. 35€ 5.000,-
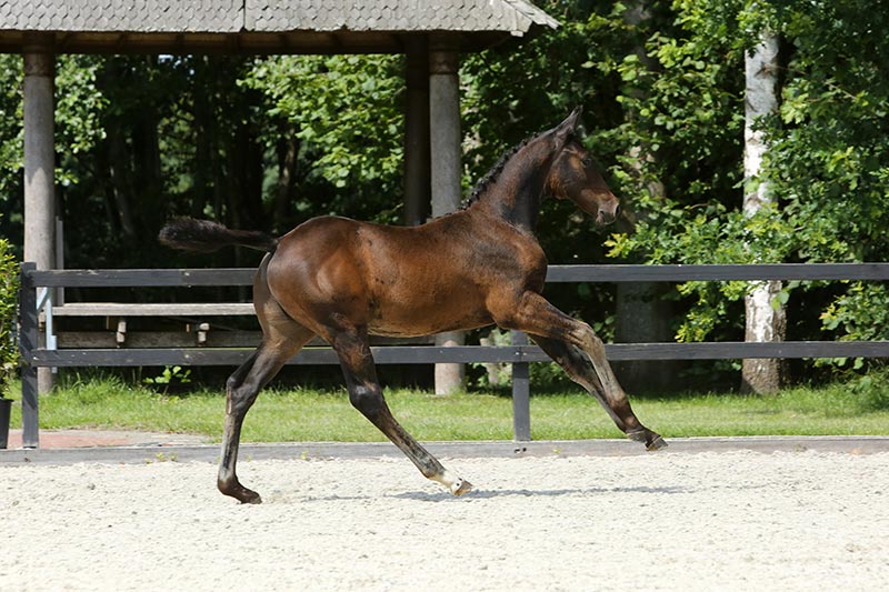
| Gender | Stallion |
| Color | bay |
| Date of birth | 11-04-2020 |
| Breeder | G.J. Bosch |
| Breeding direction | Springen |
| Pedigree | Diacontinus x Chacco's Son |
Davinci (Westf.)
|
Dam: Calou 15 Granddam: Amelia dam of: Chacco’s Light (s.Chacco’s Son) approved Old stallion & ISJ 1.30m (final WC 5yo in 2019) Great-Granddam: Arabella dam of: Abbey M (s.Quidam’s Rubin) 1.35m & ISJ 1.30m The Hannoverian premium stallion Diacontinus is performing on international 1.45m level with Heiko Tietze and has a leading position in the German breeding indexes. In this pedigree he is combined with a full sister of the promising, 6yo Oldenburg premium stallion Chacco’s Light. No subject to VAT |
Pedigree
| Diacontinus |
Diarado |
Diamant de Semilly |
Le Tot de Semilly |
| Venise des Cresles |
|||
| Roxette I |
Corrado I |
||
| Kimberly III |
|||
| Carentina |
Contendro I |
Contender |
|
| Bravo |
|||
| Agentina |
Argentinus |
||
| Pistazie |
|||
| Calou 15 |
Chacco's Son |
Chacco-Blue |
Chambertin |
| Contara |
|||
| Lancley |
Lancer III |
||
| Pia Power N |
|||
| Amelia |
Light On Old |
Lordanos |
|
| Love Girl |
|||
| Arabella |
Emilion |
||
| Aschenputtel |











